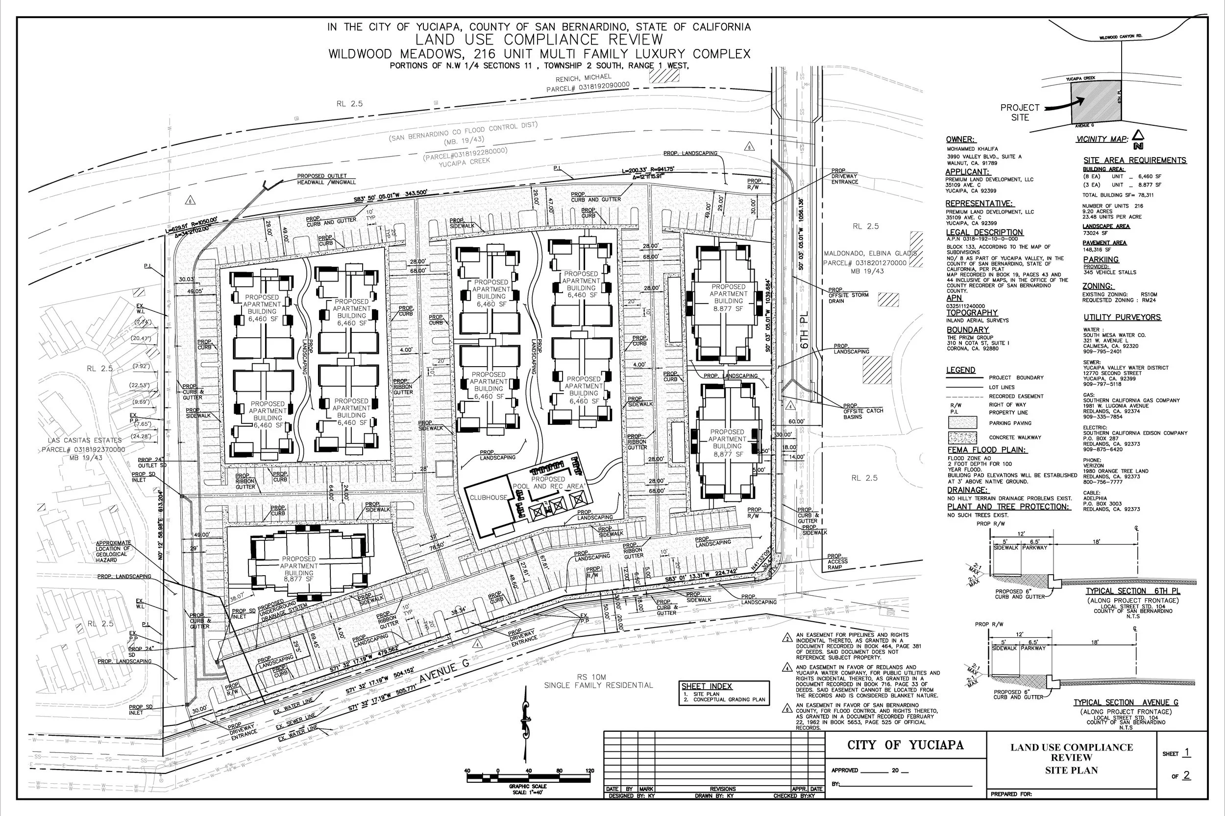
Wildwood Meadows, Yucaipa, Ca.

Site Plan

Elevation Plans

Property Statistics

  • 3025 - 111 - 24

  • 9.37 Acres

  • Multi Family Residential

  • Entitlement is currently in process.